Updates From The Bahamas // Hurricane Preparedness // Arabella Grand Tour // Sailing Destinations // Featured Instructor // And More...
 
AD:Mack Boring
 
American Sailing Journal
 
If you're unable to read this e-mail please click here
 
American Sailing Journal
 
Volume 36, Issue 9
 
September 2019
 
 
 
 
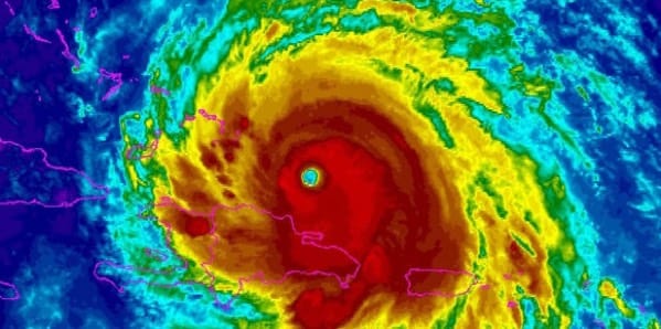
Recently, Hurricane Dorian hit the ASA family hard. As sailors, hurricane season is always in the back of our minds. There is no escaping the threat that we all feel both personally and tangentially when our friends and associates are in the path of these massive storms. No amount of words can describe how we feel after watching the images from the Bahamas and from some of our schools. Even now our friends and family are still in harm's way as storms build in the Atlantic. This month we’d like to share some news from our schools in the Bahamas as well as how our ASA family can help others in need.
 
 
 
 
Cindy Shabes, ASA President
 
 
 
AD:Horizon Yacht Charters
-
 
Updates From The Bahamas
 
-
 
We are one large family at ASA and all of us are affected by the news coming from those areas hit hard by Hurricane Dorian. We will try to update all of our affiliates about what is happening with our affiliates and instructors located in the path of this destructive force of nature. Here are some updates directly from our affiliates:

Navtours (Bahamas Sailing School) Update from Elizabeth
Thankfully, Navtours at its Palm Cay Marina charter base in Nassau was not in the path of Hurricane Dorian. Our cruising grounds of the Exumas were also not in the path of Hurricane Dorian and there was no hurricane damage to this section of the Bahamas. Our guests, our boats, our marina and our team members are all safe and secure. Our charter operations in the Bahamas continue uninterrupted. Our hearts are heavy, however, for our neighbors in the Abacos, Grand Bahama and other areas where they have experienced catastrophic devastation from Hurricane Dorian. Relief efforts are underway for these impacted areas of the Bahamas and more details of how you can help can be shared with you upon request. Thank you again for reaching out to us during this time.

Cruise Abaco Update from Patti
Our entire fleet was destroyed and we have suffered tremendous personal loss as well, our lives were in Abaco, it is surreal. Thank God our staff all survived and we are putting one step in front of the other and taking each day at a time. We are in the USA now where we have communications and can deal with the business at hand for us. Thanks so much for the support.

Body Holiday Update from Omar
I am happy to report that all is well with us at the Body Holiday. Dorian hit us as a tropical storm and caused almost no damage at all. Our deepest sympathies go out to the residents of the Bahamas affected by hurricane Dorian. We cannot begin to imagine the hardship the Bahamian people are going through. Please let us know the status of ASA team members working in the Bahamas when you receive word. We will keep them in our thoughts and our prayers.

 
 
 
 
To help those in need in the Bahamas we recommend 
donating to the one or both of the following charities...
 
 
GoFundMe
 
Red Cross
 
 
 
AD:DAN Boater
AD:INAVX
-
 
Hurricane Preparedness
 
-
 
Bracing For Impact
Hurricane Preparedness
As the peak of hurricane season is upon us, we felt this was an excellent time to share some critical information about hurricane preparedness and how best to manage through these difficult times. The more information you have, the better.



 
Water Quality
Water Quality
Atlantic hurricane season is here, and with it comes storm surges, flooding, and extreme winds. Water contamination from storms affects human health and the surrounding environment, and can also have a lasting impact on recreation, tourism, and the area’s economy. 


 
AD:FLYING SCOT
AD:SUNSAIL
-
 
Arabella Grand Tour
 
-
ARABELLA
 

By the time the scent of sunscreen had permeated the deck of Arabella, the sails were up, and the exquisite ship was slicing through the waters off Newport Rhode Island. A week would go by, and the lucky ASA members aboard would visit Martha’s Vineyard, Nantucket, and Cuttyhunk. A few members took the helm, others basked in the sun, and quite a few made lifelong friends.

 
ARABELLA BVI TOUR
 
 
-
 
Sailing Destinations
 
-
 
New York, New York
NEW YORK
Your sailing vacation can include traditional New York tourism attractions but with a sailing twist. You’ll see the Brooklyn Bridge from down below and you’ll sail past Lady Liberty. While everyone else is trying to capture the skyline through the trees on the Great Lawn in Central Park, you’ll have your lens set to panoramic and your new profile pic will show all of New York Harbor and the most famous skyscrapers in the world.


 
Croatia Flotilla
CROATIA
ASA Captian Jean “John”De Keyser and his wife “Admiral”Mila from the Sea Safaris Sailing School based in Chicago organize an annual flotilla to Croatia. Follow along in this three-part series of articles as they lead the way through their three-week Mediterranean adventure.


 
AD:SATELLITE PHONE STORE
DREAM YACHT CHARTER
-
 
Featured Instructor
 
-
Featured Instructor
 

If you need a sample of what a resume should look like you would look no further than the background of Captain Lisa Batchelor Frailey. A few highlights include retired Navy Captain, C-130 Aircraft Navigator, Oceanographer, Meteorologist, ASA Instructor and USCG Master since 2006. She is the co-founder of Sail Solomons and an ASA Oustanding Instructor. More importantly, she loves sharing her love of sailing with everyone.


 
-
 
Nine More Women on The Water Stories
 
-
 
Women on the Water

 
The American Sailing Association has launched a new campaign designed to get more women on the water. “Women on the Water”encourages more women to take the helm. Here are nine stories out of many, of women who are sailing.


 
GO SAILING
 
 
 
KEEP IN TOUCH...
 
 
 
X
Facebook
Twitter
YouTube
Instagram
X